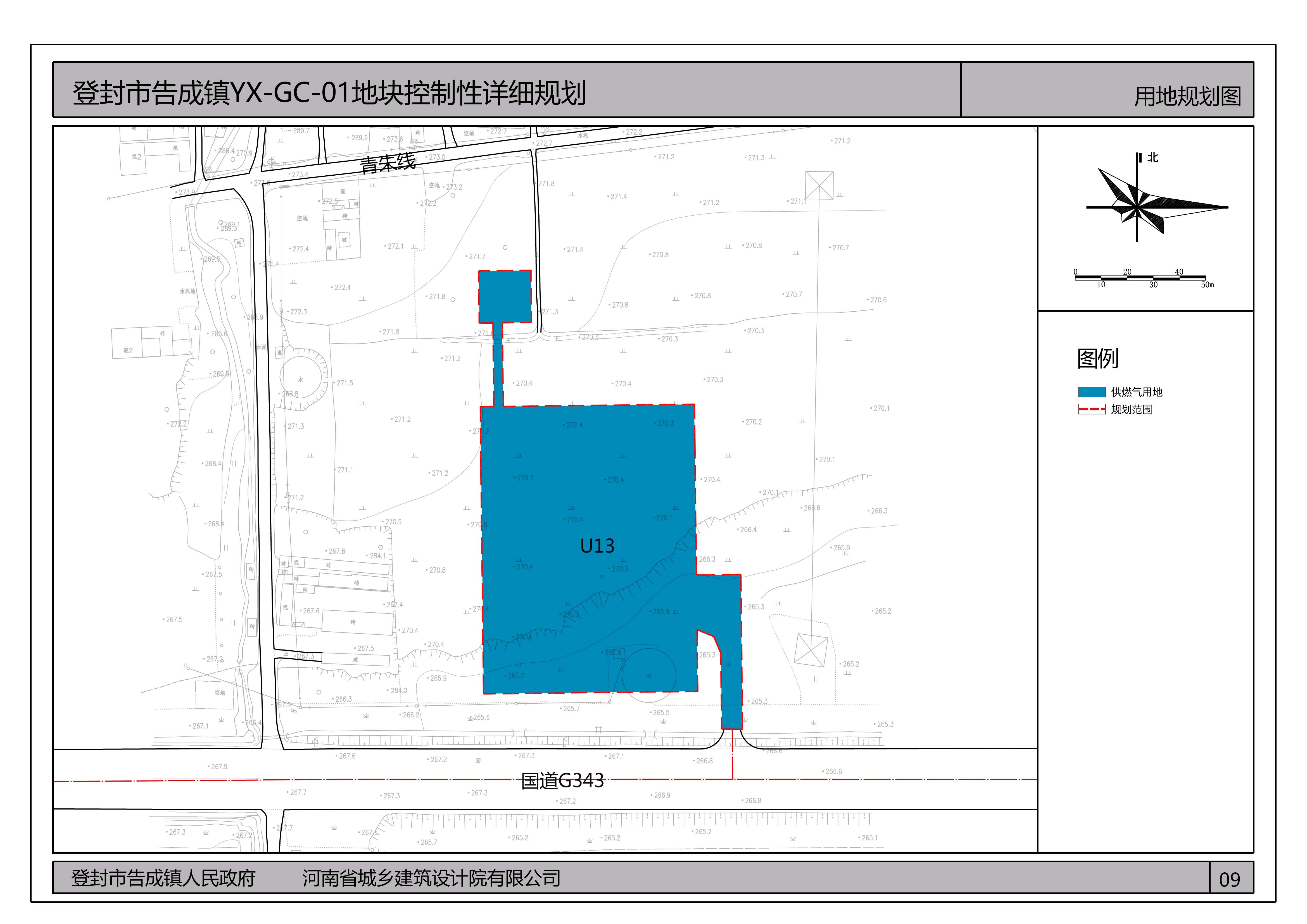
项目名称:《登封市告成镇YX-GC-01地块控制性详细规划》
类 型:批前公示
公示类别:控制性详细规划
用地位置:登封市告成镇
规划面积:规划总用地面积约1.022公顷。
公示期限:30日(2023年6月6日—2023年7月5日)
公示单位:登封市自然资源和规划局
咨询电话:62833372
附加说明:查询详细内容,请到登封市自然资源和规划局查询,依据《城乡规划法》、《河南省城市规划公示制度》等有关法律法规的规定,特此公告。
附图:区位图、用地现状图、用地规划图、道路交通规划图、图则






豫公网安备 41010202002520号