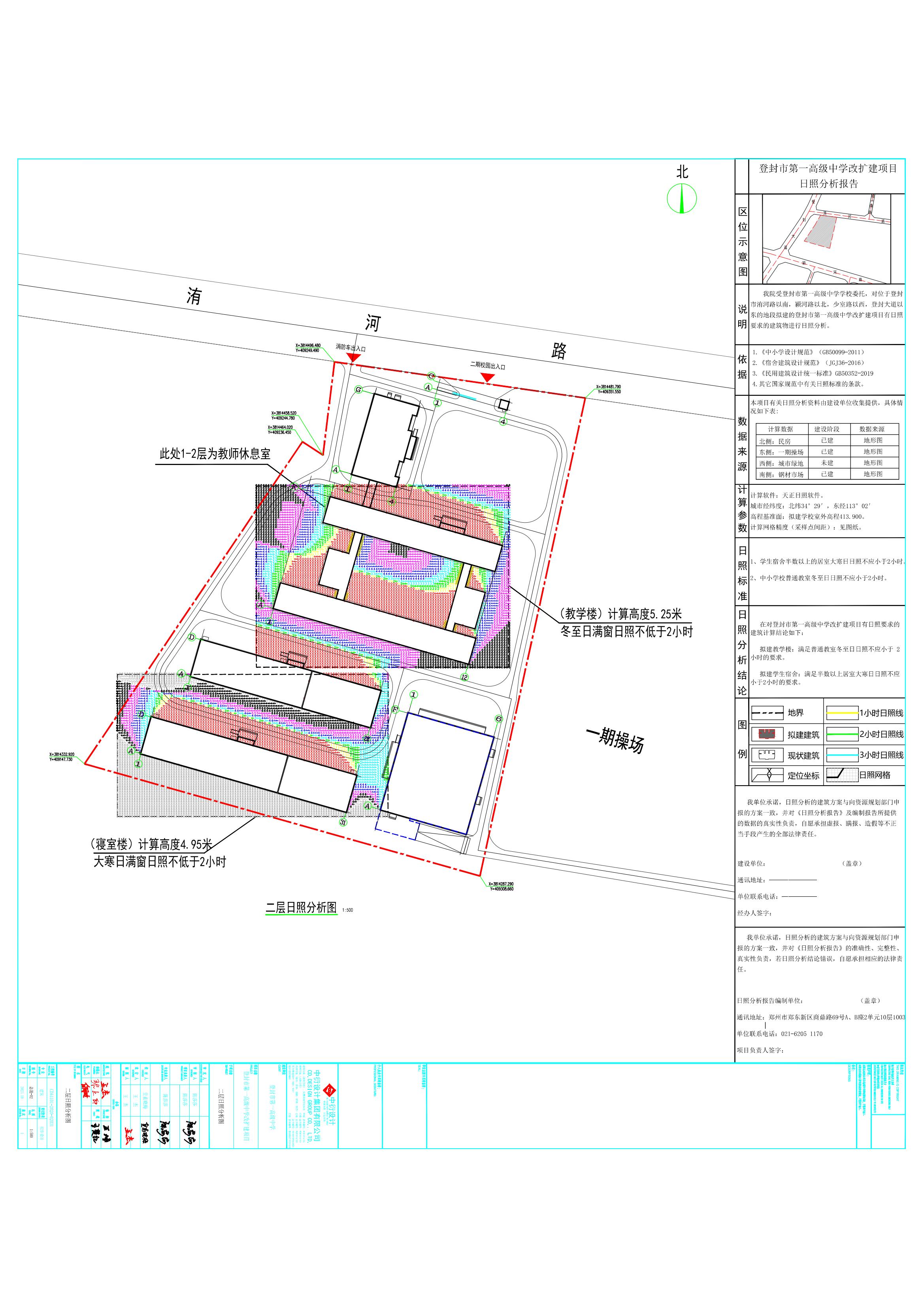
项目名称:登封市第一高级中学改扩建项目建设工程规划设计方案
公示类别:建设工程设计方案
公示单位:登封市自然资源和规划局
公示期限:2024年1月5日-2024年1月14日
咨询电话:建设单位 13213155218
详细规划管理科 0371-62989067
附加说明:查询详细内容,请出示身份证明,到我局办理相关手续后查询。依据《中华人民共和国城乡规划法》、《中华人民共和国行政许可法》等有关法律法规,特此公示。
详细内容:为确保该规划工作的顺利实施,依据《中华人民共和国城乡规划法》有关规定,按照市委、市政府政务公开的要求,以公开透明、依法行政、规范高效、廉洁公正、强化监督为原则,以实现城乡规划管理工作公开、公正、民主、高效、廉洁、规范为目标,促进城乡规划管理的科学化、民主化、法制化,不断提高公众参与城乡规划的意识,维护全社会对城乡规划的知情权与监督权,使城乡规划更加科学、合理和规范,保证城乡建设的健康运行,促进登封市经济健康持续发展。现将该项目总平面图、效果图、日照分析等内容进行公示,欢迎社会各界对该项目提出宝贵意见和建议。






豫公网安备 41010202002520号